Commandant Philippon (5)
|
Du 17 au 20 Octobre VERT participe avec AMARANTE aux opérations de recherche de la bande de rebelles qui a tendu l' embuscade .Des suspects sont arrètés pour être interrogés à DJIDJELLI. Malgré de nombreux indices de sa présence la bande s' est évanouie dans la nature . Le 24 ,VERT, JAUNE,ROUGE 3 et BLANC aux ordres du Capitaine Roger PHILIPPON fouillent des mechtas dans le secteur de TAHER et arrètent 17 suspects.Le 27 VERT,NOIR,ROUGE 3 aux ordres du Capitaine Roger PHILIPPON fouillent des mechtas suspectes dans le secteur de STRABOURG .
" TAHER et STRASBOURG sont des localités situées entre 10 et 15 kilomètres à l'Est de DJIDJELLI " Du 28 au 30 Octobre remise en condition puis départ de DJIDJELLI pour s'installer en bivouac au terrain d' aviation d' EL MILIA le 30 .
" Du 31 Octobre au 7 Novembre se déroule l' opération NOVEMBER 19.Cette opération succède à celle dite REGION EL MILIA du 28 et 29 Septembre 1957 sur le même théâtre ou se trouve implantée une unité Rebelle forte de 4 compagnies .Il s' agit de mettre en oeuvre les enseignements tirés le mois précédent et de prolonger l'opération menée le 30 Octobre par le II /3° REI . " Insigne du 3° Régiment Etranger d' Infanterie .Créé en 1914 ce Régiment à la double fourragère - Légion d' Honneur et Croix de Guerre 1914 1918- est peut être le plus célèbre de la Vieille Légion .( Par opposition à l' avènement des B.E.P. en INDOCHINE et des R.E.P. en A.F.N. ) L'insigne du 15° Régiment de Tirailleurs Sénégalais Recréé pour la guerre d' ALGERIE. il arbore le phenix oiseau fabuleux qui renait de ses cendres .
" Le calque peut être repéré sur la carte à partir de la cote 701 dans le carré marqué 19 .Il est ainsi possible de suivre le tracé en ROUGE des axes routiers et le tracé en BLEU des oueds .L'opération NOVEMBER 19 est placée sous les ordres du Lieutenant Colonel BUCHOUD. Les troupes se répartissent en deux Sous Groupements l'un aux ordres du Chef de Bataillon BLOCH l' autre aux ordres du Capitaine LAMSFUSS .La présence du Sous Groupement du 3° REI est mise à profit pour boucler la zone à l'Ouest de la cote 701 "
" Plan rapproché sur les Troupes engagées dans le Massif des BENI FERGUEN .Cote 701 Le Sous Groupement du 3° REI . Au Nord Sous Groupement Capitaine LAMSFUSS (2 compagnies du 9°RCP une compagnie du 151°Régiment d' Infanterie Au centre le Sous Groupement chef de Bataillon BLOCH (Le Commando et 2 compagnies du 9° RCP une Compagnie du II/ 15° Régiment de Tirailleurs Sénégalais ) " Insigne du 151°Régiment d' Infanterie Le QUINZE-UN a été créé en 1813 Sa renommée vient essentiellement de sa bravoure lors de la Guerre de 1914 1918 en particulier lors de la Bataille de VERDUN:ON NE PASSE PAS Il a mérité la fourragère Médaille Militaire au titre de la Grande Guerre Ce Régiment a survécu un temps aux dissolutions de l' après 1962 " - Le 31 Octobre VERT ( Sous Groupement BLOCH) est en tète du convoi de mise en place .Départ 6 ,30 heures .La Compagnie fouille le terrain ,découvre des gourbis vides et des abris anti aériens . Dans la nuit embuscades de VERT 3 et VERT 2 sans résultat . - Le 1Novembre VERT demeure sur ses positions et fouille minutieusement le terrain .Toutes les installations rebelles sont détruites avec le concours d'une escouade du Génie ( 80 kilos d' explosif ) Nuit sur place . - Le 2°Novembre poursuite de la fouille et destruction des installations rebelles .La 4° compagnie est dévorée par les puces qui pullulent dans les mechtas .VERT 1 part en embuscade de nuit . - Le 3 Novembre mème scénario que la veille . - Le 4 Novembre tout le monde est trempé par le gros orage de la nuit .Une Batterie d' Artillerie vient s'installer à proximité de VERT . - Le 5 Novembre poursuite de la fouille et installation dans "du dur "pour la nuit .VERT 2 part en embuscade de nuit . - Le 6 Novembre au réveil VERT se retrouve sous le sable .Le vent du Sud qui a soufflé toute la nuit était chargé de sable du désert. Il y en a partout ,cheveux ,oreilles , sac de couchage ...Un nettoyage de l' arment s'impose .VERT 1 parti en patrouille à 8 heures récupère un groupe de femmes et d' enfants qui avaient passé la nuit tapis dans bois proche du bivouac. La fouille du terrain ne donne rien .Nuit au village DJA SI AMAR .
" A partir du 5 Novembre le 9° RCP fouille les thalwegs en direction du Nord (Carré marqué 10 sur la carte .Limite d' action l'Oued ZHOUR) Le 7 Novembre la compagnie est ravitaillée puis rejoint DJIDJELLI en convoi à 18,30 heures " Les enseignements tirés de cette longue opération sont sensiblement identiques à ceux des opérations précédentes dans ce même secteur Le Bataillon à 4 compagnies est insaisissable sans l' emploi de très gros moyens. Les parachutistes de VERT ont été éprouvés physiquement par la durée et les conditions très difficiles de l'opération . Le bilan est décevant puisque les bandes n'ont pas été accrochées .Cependant la destruction de toute l'infrastructure d' accueil des rebelles à l' entrée de l'hiver aura certainement constitué une gène majeure pour ces derniers "
" Avant les grandes opérations du Plan CHALLE les rebelles étaient solidement organisés , pouvant mème bénéficier de moyens de transmission ainsi que l' expose cet extrait du dossier de critique de l' opération ." Les 8,9,10 Novembre remise en condition et préparation de la Prise d' Armes du 11 Novembre
" Pour commémorer la Fète de la Victoire en 1918 une prise d' armes est organisée à DJIDJELLI selon le traditionnel rituel :Présentation au Drapeau , Remise de décorations ,Défilé "
" Croix de la Valeur Militaire avec citation à l' ordre de l' armée (palme)Le Capitaine Roger PHILIPPON est cité pour son comportement dans les AURES lors des accrochages du 27 Septembre 1956 au djebel GROUN et du 19 Mai 1957 à la MAISON FORESTIERE de SGAG. Un tel décalage dans le temps s' explique par les délais administratifs La citation à l'ordre de l' Armée - inscrite au journal Officiel-est soumise à l' approbation du ministre de la Guerre " Le 12 novembre départ en opération dans la région de CAVALLO
" En passant par la route du littoral VERT est déposé au Col de AOUANA à partir duquel les unités du 9° RCP fouillent le terrain en direction du Sud .A 19 heures regroupement A 20,30 départ pour DJIDJELLI " " Le Capitaine Roger PHILIPPON et son PC sur un point haut comme il se doit pour avoir de bonnes liaisons .En fin d'opération la Section mortier de 81 du Lieutenant Georges LAFFONT rejoint le point de regroupement, l'embarquement des mulets prend toujours un certain temps " Le 13 novembre saut à partir de DAKOTA C 47 pour une vingtaine de pax de la 4° compagnie .
" Le 14 Novembre départ à 4,30 heures en opération Mise en place par STRABOURG,TAHER puis recherche de l' ennemi en direction du Sud .Quelques fuyards sont aperçus. A 17 heures mouvement vers DJIMAR (commune de CHEKFA ) ,Intervention à TAHER qui subit des tirs de harcèlement vers 20 heures .Nuit à DJIMAR .Le 15 retour à DJIDJELLI puis vers 13;30 heures départ avec BLEU en direction de TEXENNA Fouille de nuit dans les environs du poste DJENNDJENE en suivant la route qui longe l'oued DJINEDJENE. Trois suspects sont aperçus ;Retour à DJIDJELLI par TEXENNA " Les 16 et 17 Novembre remise en condition des personnels et matériels .Le 18 accompagné de 3 gendarmes VERT procède à un controle d'identité aux abords de DJIDJELLI (Oued EL KANTARA)
" Le 19 Novembre deux sticks à 22 pax de la 4° compagnie sautent de DAKOTA C 47 sur la DJ de TAHER Le Capitaine Roger PHILIPPON participe à cette séance ainsi que l'indique son relevé individuel de services aériens ."
" Lors des séjours en Base Arrière les cadres se livrent à des tournois de sport collectif .Le foot-bal semble y tenir une place de choix ." du 21 au 26 Novembre le 9° R.C.P.(sauf la 1° Compagnie ) fait mouvement vers EL MILIA pour remplacer les unités du 8° R.P.C. appellées à d'autres missions . " Créé en 1951 le 8 existe encore sous l' appellation de 8°Régiment Parachutiste d' Infanterie de Marine .Ce sera la première unité professionnalisée des T.A.P. Il s' est illustré en Extrème Orient ou il a obtenu la fourragère aux couleurs du ruban de la Médaille Militaire.
" Le 21, VERT arrive à EL MILIA à 18 heures .Le convoi passe par STRASBOURG ,TAHER,EL ANSER .Une opération de recherche des rebelles débute à 3 heures du matin conjointement avec des unités du 4° RIC et du 8° R.PC elle doit être démontée vers 10 heures en raison de conditions météo détestables .Le 23 Novembre organisation d' embuscades autour d' EL MILIA. Le 24 Novembre opération commandée par le chef de Bataillon BLOCH dans le but de trouver des caches et une infirmerie rebelle.Un bivouac est détruit , un fusil de chasse récupéré .Les recherches se poursuivent le 25 dans la région d' EL ANSER Le 26 le 9°RCP est regroupé à EL ANSER et le convoi atteint DJIDJELLI à 12 heures "
" Les 29 et 30 Novembre se déroule l'opération de la REGION TEXENNA (carte ci dessous) Placée sous les ordres du Lieutenant Colonel BUCHOUD elle a pour but de fouiller la région et d' exploiter des renseignements donnés par un homme récemment arrêté à CAVALLO "
" L'opération se déroule dans la région de EL OUDJA -Le long de piste en pointillés à hauteur de la fourche formée par le haut de l'Oued KISSIR -Cette zone n' est accessible qu' à pied ,assez habitée elle constitue un couloir vers DJIDJELLI .Le relief est sévère et très densément boisé .Ce n' est pas une zone interdite "
" La largeur de ce croquis représente 5 kilomètres Le bord gauche est à 3 kilomètres du Col de SELMA ce qui permet une localisation approximative sur l' extrait de carte d' E.M. Cette opération met en oeuvre le 9°RCP au complet ,2 compagnies du II° / 4° R.I.C. ,une compagnie du III° / 11° R.I.C, un escadron du 1° R.H.P une section du 35° RALP "
JAUNE et VERT doivent se mettre en place sur la ligne de crètes 924- 989 RERIB MEZRICH (centre du croquis) a 17 heures le 28 ils sont au poste de BEN SABER ( nord du croquis)Partis de BEN SABER à 3 heures du matin ils sont sur leur position à 8,15 heures et commencent le ratissage vers le Sud à environ 13 heures A 15 heures un accrochage se déclenche à l'Ouest de leur axe de progression .A 20 heures ils sont sur les lieux de l' accrochage et BLEU est sérieusement accroché à son tour un peu au Nord sur EL HOT par une section rebelle qui donne l' assaut. Le 9° RCP passe la nuit sur les lieux des accrochages . Le 30 Novembre fouille en direction de l' Oued KISSIR puis changement de direction sur un renseignement Après une livraison par hélicoptère l'opération est démontée avec un bilan nul .A 22 heures le 9° RCP est de retour à DJIDJELLI . " Gros plan sur le col 708 entre EL OULDJA et EL HOT La compagnie du III° / 11° R.IC. est tombée dans une embuscade .Le Capitaine a été tué ,11 marsouins ont été bléssés. Cette compagnie avait pris trois heures de retard sur la progression de l' ensemble .Avant de mourir le Capitaine a le temps de donner des ordres cohérents qui immédiatement exécutés contribueront à sauver la compagnie .La compagnie retranchée en carré faisant face repoussera deux assauts et occasionnera de fortes pertes aux rebelles . Un Sous Officier Africain fera rendre les honneurs à son Capitaine avant l' évacuation de sa dépouille. Honneur à ce Sous Officier et à ces Marsouins !!" " Insigne du 11°Régiment d' Infanterie Coloniale. Créé en 1869 ce Régiment a été dissous en 1962 puis recréé en 1964 sous l' appellation de CEC 11° RIMa son insigne évoque l' Extrème Orient " Coup de projecteur sur les rebelles .Evalués à trois détachements d'une cinquantaine d' hommes chacun ,les rebelles ont discrètement suivi la compagnie isolée ,puis mis en place un dispositif de coup de main et le moment venu sont passés à l' attaque .Ils disposaient d'un SCR 300 et ainsi suivant les communications radio étaient au courant de la manoeuvre . Deux chefs ont été entendus donnant leurs ordres en français "Donnez l' assaut aux postes radio" " A l'assaut ramassez les morts et les armes " (parlant de leurs combattants )Une vingtaine de rebelles auraient été tués dans l' affrontement qui a duré à peu près une heure ..Cette opération vue du coté rebelle donne à nouveau un démenti cinglant à ceux qui ne reconnaissent pas la qualité des combattants de l' ALN .Agressifs ,manœuvriers ,ils n'ont pas fui mais se sont esquivés emportant le maximum des tués et blessés ainsi que leurs armes .Hélas il y a fort à parier que leurs cadres étaient des anciens de l' Armée Française . 1° Décembre départ du contingent 1955 / 2 B . 2 Décembre le rédacteur du Journal de Marche inscrit - AUSTERLITZ 1905 - Le Lieutenant BALAGNA était donc Saint Cyrien . Le 4 Décembre VERT et AMARANTE font mouvement sur EL MILIA .Le Capitaine Roger PHILIPPON tue deux perdreaux .Régulièrement ce gout pour la chasse est noté ,Le Capitaine Roger PHILIPPON devait avoir un fusil de chasse dans ses bagages .VERT retrouve à EL MILIA ses cantonnements du 21 Novembre . Les 5 et 6 Décembre entretien de l' armement , instruction et amélioration du plan de défense des cantonnements . Le 7 Décembre opération région DJEBEL EL HADJAR (6 kilomètres topo à l' Ouest de EL MILIA entre Oued BOU SIABA et route est Ouest passant par EL MILIA )
" Ordre particulier concernant l' opération .CHEURFA est une exploitation située à 2 kilomètres d' EL MILIA ."
" Calque joint à l'ordre particulier .Les MERKES sont des infrastructures de passage pour l'A.L.N. "
" Le cours de l' Oued BOU SIABA et la route Est - Ouest passant à EL MILIA permettent de situer l'opération sur la carte d' E.M. Le carré fait 10 kilomètres de coté . Le 7 Décembre à 3 heures du matin AMARANTE et VERT franchissent le pont sur l'oued Bou SIABA entre 7,15 heures et 7,30 heures AMARANTE et VERT sont pris à parti, par des tirs rebelles Il s'agit de tirs de harcellement Les caches découvertes sont détruites leur contenu brulé .L'opération est démontée à 18 heures. Le 8 Décembre interpellation de suspects .Le 9 Décembre controle d'identité au marché d' EL MILIA .Préparation d'une opération aux ordres du Chef de Bataillon BLOCH pour le lendemain .
" Le 10 Décembre une opération placée sous les ordres du Chef de Bataillon BLOCH est montée à une trentaine de kilomètres à l' Est de DJIDJELLI dans la FORET des SEDDETS. Parti d' EL MILIA à 6 heures du matin VERT aborde sa zone d' engagement à 7 heures dans le Djebel SEDDETS .Très rapidement un emplacement pour mitrailleuses très fraîchement creusé est découvert .La fouille de la Mechta Aïne MAT -en ruines - dévoile de nombreux abris anti aériens. A 17,30 heures BLEU est violemment pris sous le feu ;Après une riposte des mortiers de 60 de BLEU et VERT complétée par des tirs de mortier de 120 et de canons de 105 ,l'ordre est donné aux compagnies de rester sur place pour la nuit ." Le 11 Décembre à 4 heures du matin JAUNE est pris à parti par un guetteur A 8 heures JAUNE abat un rebelle et récupère un fusil "303" La matinée est passée à fouiller un terrain très difficile. A 15 heures regroupement à la Maison Cantonnière puis retour à DJIDJELLI . Le 13 Décembre AMARANTE,JAUNE et VERT sont en opération de la journée à TEXENNA .(15 kilomètres au sud de DJIDJELLI) Le 16 Décembre le Lieutenant LE FUR pressenti pour succéder au Capitaine Roger PHILIPPON est affecté à la 4° Compagnie .Une opération de la journée est montée dans la région de CAVALO -Oued KISSIR (5 kilomètres Ouest de DJIDJELLI) Le 18 Décembre opération héliportée pour recherche et destruction de caches et de "merkes" par BLEU,VERT, AMARANTE et une Compagnie du 4°RIC. A 13 heures VERT 3 trouve et détruit deux caches et leur contenu (sucre , farine , blé )
" Du 22 au 24 Décembre Le 9° RCP est en opération à l' Ouest de TEXENNA sur les Mechtas EL HOT et EL OUDJA . Cette zone avait déjà été le théâtre d'une grosse opération les 29 et 30 novembre .Les buts sont la recherche et destruction des rebelles et la destruction des Mechtas de M'SILA et EL HOT situées en Zone Interdite . Le 22 décembre Partant de TEXENNA, VERT atteint 1543 - point culminant de la crète ELMA el BARED - à 9 heures depuis 1428 une vingtaine de rebelles prennent à parti BLANC qui progresse sur la crète ELMA el BARED .JAUNE est au contact .VERT déborde par le Nord après un appui feux . A 10,30 heures la progression reprend .A 17,30 heures VERT s'installe en Point d' Appui à l'Ouest de 975 .Le 23 Décembre à 7 heures VERT reçoit l'ordre de détruire les habitations de M'SILA. à 15 heures mèmes éléments pour Mechta GRIOULA à l'Ouest de l' Oued KISSIR . Le 24 décembre VERT progresse vers EL HOT que VERT 1 est en train de détruire avec des explosifs A 9,30heures VERT atteint la cote 788 . A 11,30 VERT rejoint les "roulettes " l'opération est démontée à 12,30 heures .VERT arrive à DJIDJELLI à 15,30 heures "
Le 25 Décembre à 16 heures le 9° RCP part pour CONSTANTINE .L' itinéraire suivi ne semble pas le plus court mais certainement le plus roulant et le plus sur .Route cotière vers le Sud Ouest CAVALLO puis LES FALAISES.Plein Sud SETIF par les GORGES de KERRATA .Plein Est par Saint ARNAUD CHATEAUDUN du RHUMEL.Nord Est CONSTANTINE .Le Régiment arrive à destination à 24 heures .
" Le 26 Décembre à 6 heures du matin VERT est prêt à faire mouvement pour une opération dans la région Foret des MOUÏAS et Djebel Sidi DRISS .Un renseignement indique que trois Sections Rebelles stationnent sur les pentes sud du Djebel Sidi DRISS .(au milieu de la carte dans le jambage du R .La Foret des MOUÏAS est l'une des taches vertes de part et d' autre de l'inscription Djebel Si IDRISS ) Le 8° Décembre le 51 ° R.I. y avait été sévèrement accroché .Trois Sous Groupements sont engagés . Nord: trois compagnies du 9° RCP héliportées sur le Djebel DRISS .Ouest :Escadron ,AMARANTE et 4 du 8° Hussards . Sud : cinq compagnies du 51 ° R.I. ."
" Insigne du 51°Régiment d' Infanterie .Créé en 1651 son Drapeau est décoré de la Légion d' Honneur au MEXIQUE en 1863 Il a mérité la fourragère Médaille Militaire au titre de la Grande Guerre .Le Lion de BELFORT a survécu un temps aux dissolutions de l' après 1962" Le 26 à 12,45heures l' héliportage de VERT est terminé .A 16 heures VERT est chargé de la destruction d'un groupe aperçu s' enfuyant dans un thalweg .A 17,30 heures VERT 3 et VERT 2 réduisent la résistance ,récupèrent 6 fusils de guerre , un canon de mitrailleuse et de nombreux document .Un rebelle est capturé .La nuit est passée sur place . Le 27 Décembre relèvé par des unités amies le 9° RCP retrouve ses roulettes à la Maison Forestière des MOUÏAS et fait mouvement vers SETIF ou il arrive à 02 ,15 heures le 28 .Le Régiment arrive à DJIDJELLI , par le même itinéraire qu' à l' aller, à 7,45 heures . A 15,30 heures ont lieu les obsèques des 6 tués du Régiment .Le bilan de l'opération est de 45 rebelles tués ,1fusil mitrailleur ,25 fusils de guerre ,2 pistolets automatiques récupèrés .
" Bilan d'opération sensiblement identique à celui de l'opération du 26 Décembre .Les drapeau aux futures couleurs nationales algériennes étaient régulièrement saisis sur l' ALN et les sympathisants du FLN .Ce ne sont rien d' autre en général que des drapeaux de pavoisement .Les drapeaux d'unités de l' ALN sont nettement plus rares ." Le 29 Décembre le 9°RCP prépare un mouvement par voie routière sur PHILIPPEVILLE .Le 14 ° R.C.P. vient s'installer sur DJIDJELLI . La 4° 14° RCP prend les cantonnements de VERT 4° 9°RCP ; Le 14° R.C.P. est l' héritier du 14° Régiment d' Infanterie dont il détient le Drapeau Le Régiment du FOREZ a été créé en 1776 .Ainsi qu'il est exposé dans FANIONS du 14° RCP (sur ce même site) L'inscription BEARN ne traduit en aucune manière l'historique du 14 mais veut probablement mettre en valeur un recrutement local à une période relativement récente .Le 14° RCP dissous en 1961 survivra sous la forme d'une Compagnie d' Infanterie puis du 14° Régiment Parachutiste de Commandement et de Soutien de la 11° D.P. à TOULOUSE Il y a parfois des bizarreries dans l'ordre de bataille de l' Armée Française "
" Mouvement DJIDJELLI - PHILIPPEVILLE par STRASBOURG,TAHER,EL MILIA,KECHERA,TAMALOUS,ROBERTVILLE,PHILIPPEVILLE .Pourquoi le crochet au Sud par ROBERTVILLE ? Peut être pour éviter la route en lacets à hauteur de PRAXBOURG ? Le 9° RCP fait mouvement en deux convois . VERT fait partie du second convoi . Le Capitaine Roger PHILIPPON est nommé chef de ce convoi." A 19 heures le convoi est à PHILIPPEVILLE malgré un temps épouvantable et une route par endroits inondée .Le Régiment s'installe au Camp PEHAUT ,VERT est pris en subsistance par le 2° Régiment Etranger de Parachutistes . " Insigne du 2° Bataillon Etranger de Parachutistes créé en 1948 conservé par le 2° REP en 1955 .Très glorieux Régiment Parachutiste de la Légion Etrangère détenteur de la fourragère Légion d' Honneur au titre de la Guerre d' INDOCHINE .Stationné à CALVI depuis la fin de la Guerre d' ALGERIE" Le 31Décembre et le 1 Janvier 1958 cérémonies d' échanges de voeux Le Général SAUVAGNAC Commandant la 25 ° D.P. préside un Repas de Corps à la popote des Officiers . Du 2 au 11 Janvier 1958 intenses activités d' instruction .Tir les les 7,9 et 10 Janvier , formation des Elèves Gradés et Elèves Sous Officiers les 6 et 11 Janvier Instruction TAP le 4 Janvier, ;L'instruction porte sur les Gaines A 5 (ancienne TAP 5 puis GC 19 des années 70 ) et A 6 ( ex TAP 6 puis GC 3 des années 70 ),le leg bag ( ancien Kit-Bag des années 50 )et la gaine de jambe (spécifique du FM 24x29 ,ancêtre de l' EL 8 pour FM et LRAC des années 70 ).Voir à ce sujet LES GAINES INDIVIDUELLES sur ce même site . Le 7 janvier 1958 premier saut en Nord 2501- NORATLAS de VERT.(108 pax) , avec musette , arme , leg bag , gaines de jambes pour postes radio et armes collectives .Un "saut équipé "aurait on dit dans les années 70 .Le 8 Janvier VERT saute équipé et lourdement chargé avec tout le matériel d' alerte ( 108 pax) Le 10 Janvier saut de manœuvre à ROBERVILLE-20 kilomètres Sud-Ouest de PHILIPEVILLE -3 Noratlas larguent en colonne à 10 secondes tout le 9° RCP . VERT(107 pax) est dans la troisième vague.
" Organisation du saut de manœuvre du 10 Janvier 1958 à ROBERTVILLE "
" Carnet individuel des services aériens du Capitaine Roger PHILIPPON qui n' a manqué aucun des premiers sauts à partir de N 2051 en Janvier 1958" - Les 12 et 13 Janviers préparatifs du mouvement vers CONSTANTINE .
" Les inondations ralentissent le mouvement vers CONSTANTINE ou la 4° compagnie arrive vers 14,30 heures ."
" Le 15 Janvier après une nuit en dur au Camp FRAY à CONSTANTINE ,mouvement vers SOUK AHRAS en passant par AÏNE BEIDA ,CLAIREFONTAINE,MONTESQUIEU. La Compagnie cantonne dans du dur. Le 16 Janvier VERT fait mouvement vers CLAIREFONTAINE ou elle retrouve le Régiment "
" du 17 au 26 Janvier 1958 Le 9°R.C.P. recherche l' ennemi dans la région de CLAIREFONTAINE . Le 17 bivouac entre deux oueds en crue infranchissables,le 18 déplacement et bivouac à OUENZA (20 kilomètres nord Est de CLAIREFONTAINE ) Le 19 Fouille du Djebel OUENZA et bivouac à BOU KADRA (20 kilomètres sud de OUENZA) Le 20 fouille en direction de la Frontière Tunisienne. Le 20 déplacement vers MORSOTT (25 kilomètres Sud Est de CLAIREFONTAINE sur la route N 16) Le 21 théoriquement repos , en fait préparation de l'opération du lendemain . Les 22 et 23 le Régiment en alerte remonte à CLAIREFONTAINE. Le 24 opérations sur le djebel MESLOULA (10 kilomètres Ouest CLAIREFONTAINE ) Le 25 Régiment en alerte . Le 26 Janvier la jeep du Commandant BLOCH saute sur une mine ,il décèdera de ses blessures le 28.."
" Texte de la citation à l' ordre de l' Armée attribuée au Capitaine Roger PHILIPPON à l'issue de son temps de commandement de la 4° compagnie du 9° RCP. Ce texte reprend les succès opérationnels de VERT et évoque l' après Commandement en qualité d' Adjoint Opérationnel ."
" Photographie de la passation de Commandement de la 4° Compagnie .Alors que le lieutenant colonel P.BUCHOUD remet des Croix de la Valeur Militaire on apperçoit au second plan à gauche le Lieutenant LE FUR présent à la Compagnie pour prise de consignes depuis le 16 Décembre .Passage en revue de la compagnie : Lieutenant Colonel BUCHOUD,Capitaine Roger PHILPPON,Chef de Bataillon BLOCH qui trouvera la mort en opération quelques jours plus tard ." " Le Capitaine Roger PHILIPPON se prépare à transmettre le Fanion de la 4° Compagnie au Lieutenant LE FUR. L' ancien et le nouveau Commandant de Compagnie vont se saluer .Ce Fanion n' a pas pu figurer dans l' étude FANIONS du 9° RCP (sur ce même site) car il a"disparu" de la Salle d' Honneur du 9° RCP " " Le Lieutenant Colonel P BUCHOUD vient de donner le commandement au Lieutenant LE FUR à sa droite A sa gauche le Capitaine Roger PHILIPPON au second plan le chef de Bataillon BLOCH Commandant en Second du 9° R.C.P."
" Evocation du Capitaine Roger PHILIPPON lors de revues passées par le Colonel CHATEAU-JOBERT , et par le Général GILLES avec un bon plan sur le Fanion qui a mystèrieusement disparu " Le Capitaine Roger PHILIPPON restera au 9° RCP jusqu' au 30 Novembre 1958 en qualité d' Adjoint Opérationnel .
" Le compte rendu des opérations dans l' Est CONSTANTINOIS du 28 avril au 3 Mai 1958 relate les différents combats de la Bataille de SOUK AHRAS ."
" la Bataille de SOUK AHRAS a été provoquée en réaction aux trois franchissements de la frontière tunisienne par quelques huit compagnies de combat de l' A.L.N. Une mauvaise analyse confortée par quelques succès locaux indéniables avait incité l'A.L.N à croire qu'elle était en mesure de faire globalement échec à l'Armée Française ".
" Ce croquis indique quelles étaient les Unités d' Infanterie présentes dans le secteur à la date du 27 Avril 1957: Les.60° et 152° Régiment d'Infanterie le 3° Régiment Etranger d' Infanterie (unités de Secteur en poste) .Les 9° RCP -déja arrivé ,14°RCP en cours de déplacement (unités d'intervention ). A ce moment aucun franchissement du barrage n' avait eu lieu .Les trois flèches rouges situent les franchissements à venir ",
" Le 60° Régiment d' Infanterie occupe les postes au nord de la zone .Créé en 1669 il est issu du Royal Marine .Il est titulaire de La fourragère Médaille Militaire au titre de la Grande Guerre .En 1957 il a changé son insigne pour mieux mettre en valeur son passé -ancres de Marine - et As de coeur ( 1914 1918) mais surtout parce que des esprits facétieux décrivaient leur insigne avec un total manque de rigueur héraldique :ils sortent le couteau pour partager le fromage .Il sera dissous en 1962 ". " Le diable rouge du 15-2 est un glorieux régiment à Fourragère Rouge qui a été créé en 1794 Il occupe les postes au Sud Ouest de la zone il survivra un temps aux dissolutions de 1962 "
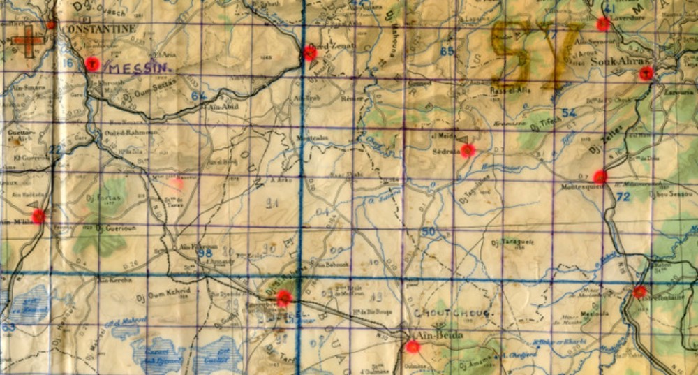
" On retrouve sur cet extrait de carte d' Etat Major tous les noms figurant sur le croquis .Le 9° RCP est à l'Est de SEDRATA en bordure du djebel TIFECH à KHEMISSA ." - Le 28 Avril 1958 à 7,15 heures l' alerte est donnés depuis LAVERDURE pour le franchissement en trois points d'une importante bande rebelle dans la région d' AÏN SEYNOUR.
" Le premier engagement aura lieu sur le DJEBEL AROUS vers lequel convergent le 9° R.C.P. et le II / 60 °RI afin de prendre en tenaille la bande rebelle qui s'y dissimule .JAUNE et VERT sont héliportées au plus près . Afin d' encercler au plus juste les rebelles le III°/ 60RI sera engagé au Nord et au Sud .A l'Ouest le GCNA venant de SEDRATA et le II/152 boucleront au hauteur de l' Oued RAIHIR. Au Sud Ouest le 14° RCP et l' Escadron du 15-2 RI fermeront la nasse .La destruction des éléments rebelles du Djebel ARROUS se règlera assez facilement .Le bilan de la journéee sera de 99 rebelles tués et 18 faits prisonniers pour 3 tués et 6 blessés amis ." " Insigne du Groupement de Compagnies Nomades d' ALGERIE Ces compagnies ont été créées suite à la défection des TABORS MAROCAINS pour cause d' indépendance de leur pays .Le GCNA fonctionnera un peu comme son modèle marocain .Toutes les compagnies furent dissoutes en 1962,après des fortunes diverses en fonction des évènements politiques "
" Extrait de la carte d' Etat Major pour l'opération GOUECHOUECH .Au milieu de la carte au dessus du O entre RAS el ALIA et Dj TIFECH A 9 heures parvient l'information qu'une forte bande a franchi le barrage dans la nuit ,sans déclencher l' alerte, . Le 9° et 14° RCP sont extraits de l'opération ,remplacés par des unités de troupes de secteurs déjà engagées .(III/60°RI et I/15-2 RI )"
" 29 Avril 1958 Opération du Djebel MOUADJENE.A 15 heures l' Alouette PC volant du Lt colonel BUCHOUD décolle. A 15,15 heures héliportage de la 4° compagnie sur le point Charlie , à 15,45 heures héliportage de la 3° compagnie au point Golf sur le Djebel MOUADJENE. Les deux compagnies accrochent aussitôt .A 16,15 heures et 16,45 heures la 1° et la 4°sont héliportées respectivement sur les points Hotel et Juliet .Toute la manoeuvre est effectuée dans l'urgence sans appui de l' artillerie trop éloignée . Les avions repèrent de nombreuses masses rebelles et encaissent tous des impacts .La principale résistance est localisée de part et d' autre de la 3° compagnie .La 3° compagnie subit quatre assauts successifs ,elle est aux 3/4 encerclée . Le Capitaine BEAUMONT blessé a juste le temps de donner l'ordre de repli vers le sud avant d'être abattu . Un dispositif d' encerclement de la résistance est mis en place avant la nuit ;Le bilan de la journée est de 29 rebelles tués Les pertes amies se montent à 32 tués dont 28 de la 3°Compagnie et 39 blessés dont 28 de la 3° Compagnie ."
" L' action se situe entre : Au Sud l'axe ZAROURIA - SEDRATA,au Nord le cours de l' Oued MEDJERDA .A l'Ouest la voie ferrée qui longe le barrage électrifié,à l' Est l'axe vertical séparant le croquis en deux "
" L' action du 30 avril consiste à nettoyer l'ensemble du terrain compris entre la route SOUK ARHAS - SEDRATA et le barrage électrifié en acculant les rebelles au barrage .Le 1° Régiment Etranger de Parachutistes a été chargé de l' effort principal .Les autres unités unités engagées : 60° R.I,15-1° R.I. 15-° RI 3°REI ,9° RCP,14° RCP ont participé au bouclage et au ratissage de la zone . En fin de journée le bilan provisoire est de 257 rebelles tués 11 faits prisonniers .Les pertes amies s' élèvent à 15 tués et 30 blessés " " Le 1° Bataillon Etranger de Parachutistes a été créé en 1947. Devenu régiment en 1955 il a conservé son insigne. Titulaire de la Fourragère Médaille Militaire au titre da la Guerre d' Indochine il sera dissous en 1961 pour sa participation au Putsch des Généraux .C' était probablement le Régiment le plus populaire de la Guerre d' ALGERIE"
" 2° Opération du Djebel MOUADJENE le 1° Mai 1958 .A 6 heures du matin une opération est lancée pour récupèrer les éventuels rebelles ayant échappé aux combats du 30 Avril . Le 9° RCP renforcé de 2 compagnies du GCNA se prépare à intervenir sur KEF el AKS . A 6,30 heures parvient l'information qu'une nouvelle bande a franchi en fin de nuit le barrage au Sud de SOUK AHRAS au même endroit que les jours précédents . Un bouclage d'urgence est mis en place en attendant l' engagement du 2° R.E.P.et du 9° R.C.P. renforcé du II°/60°R.I. A 9,30 heures commence l'opération ayant les mèmes buts que celle de la veille :repousser et acculer les rebelles sur le barrage ,puis les détruire . Pour cela le 9° RCP appuyé par l' Escadron du 15-3 RI fait effort sur le Djebel ARGOUB,le 2° REP appuyé par l' Escadron chars du 15-2 °R.I. est axé sur le Djebel MOUADJENE .A 13,30 heures les rebelles sont repoussés vers le barrage ,à 17 heures ils sont complètement encerclés sur les pentes Nord du djebel MOUADJENE ,à 18 heures l' assaut est donné par le 2° REP.A 19,45 heures l' affaire est terminée .Le bilan est de 75 rebelles tués et 4 prisonniers Les pertes amies s' élèvent à 5 tués et 20 blessés .
" Tableau récapitulatif du bilan général de la Bataille de SOUK AHRAS .L'ALN ne tentera plus de franchissement massif du barrage électrifié .Les grandes opérations du PLAN CHALLE élimineront toutes les unités résiduelles du FLN . En 1961 il ne restera plus guère dans les djebels que des petites bandes de la valeur du groupe ,parfois de la section se terrant pour survivre en évitant la confrontation avec l' Armée Française ."
" La dernière opération de la Bataille de SOUK AHRAS aura lieu le 3 Mai sur le Djebel OURES Elle mettra en oeuvre essentiellement les 14° et 18° RCP .Le 9° RCP en alerte à SOUK AHRAS n'y a pas participé . Les lecteurs interessés peuvent se reporter sur ce même site à la page 4 de- ROYAL AUVERGNE combat en AFN - pour lire le récit du 18° RCP sur les combats du 3 Mai 1958 dans le Djebel OURES."
" Texte de la citation à l'ordre de l' armée attribuée au Capitaine Roger PHILIPPON Officier Opération du Groupement Mobile 9° R.C.P. commandé par le Lieutenant Colonel BUCHOUD."
" Le Capitaine Roger PHILIPPON affecté à l' Etat Major du 9° RCP prononce une conférence dans son domaine d' attribution : l'opérationnel "
" L' appartenance à l' Etat Major impose quelques mondanités ;Pot au mess- de face le Colonel P BUCHOUD -, repas Officiers à une occasion festive (?)"
" Deux attitudes sympathiques du Capitaine Roger PHILIPPON "
" En prévision de son affectation à la SSV le Capitaine Roger PHILIPPON se remet à la chute libre qu'il avait abandonnée en 1951 lors de son départ en Extrème Orient (LAOS).Il fait 3 sauts à ouverture retardée de 5 et 8 secondes en novembre 1958 " " Par arrêté ministeriel le Capitaine Roger PHILIPPON est affecté à la Section de Saut en Vol de la 1° Région Militaire à compter du 1° décembre 1958. Il est ensuite affecté au Groupement d' Instruction du 18° RCP (PAU-IDRON) à compter du 9 / 03 / 1960 puis au 1° R.C.P. à compter du 1/ 03 / 1961. Il est donc resté 16 mois à la SSV et un an au CI/18° RCP " ► 7° Période : La Section de Saut en Vol ( S.S.V. )
|
|||||||||||||||||||||||||||||||||||||||||||||||||||||||||||||||||||||||||||||||||||||||||||||||||||||
| Retour |


















































































